-
Plano proyecto de localización de terreno que se compensa al ejido de Cajeme, en virtud de la expropiación de la parte sur para el desarrollo de la zona urbana del mismo puebloDescargar
Metadatos
Título
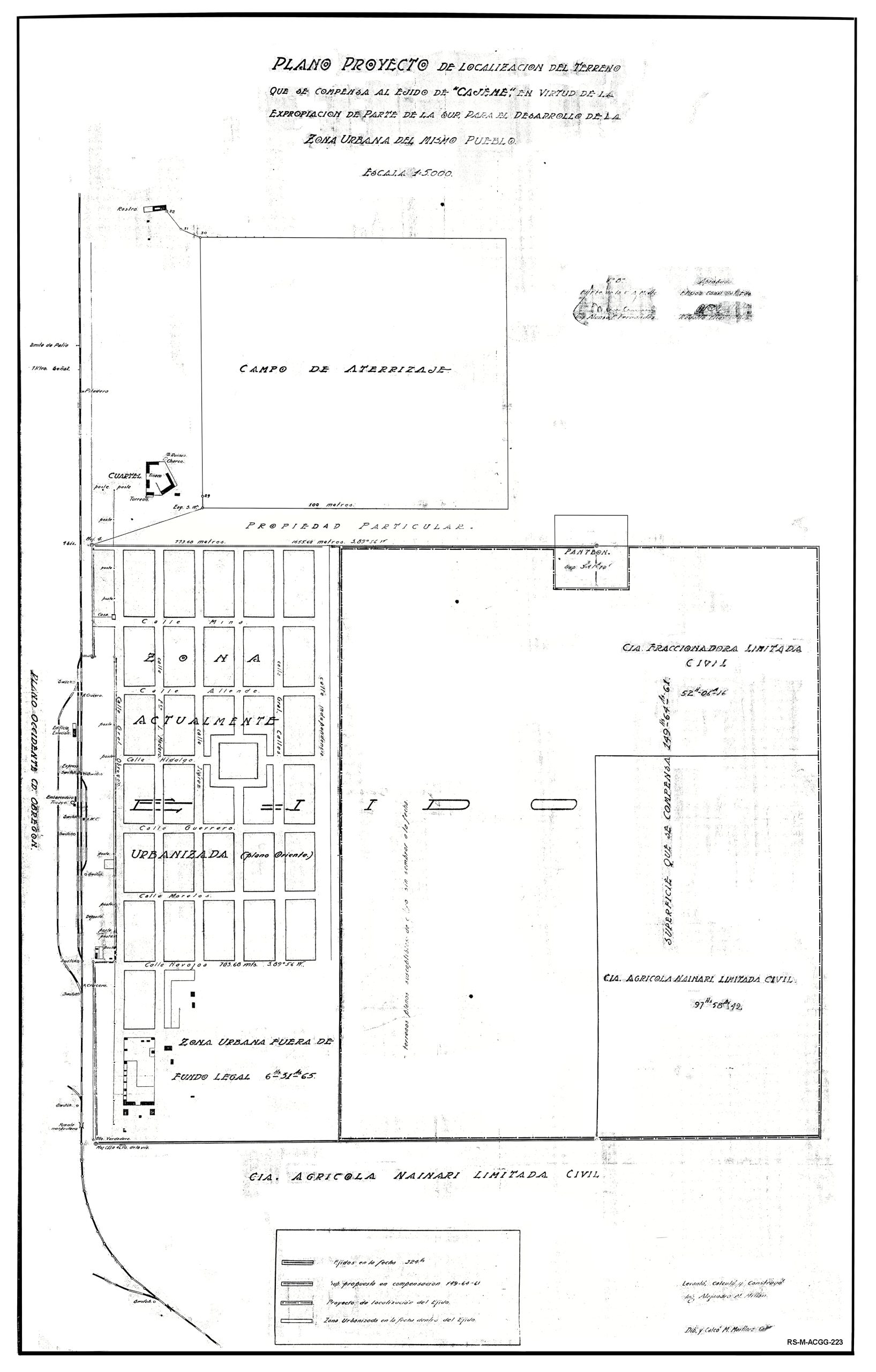
Plano proyecto de localización de terreno que se compensa al ejido de Cajeme, en virtud de la expropiación de la parte sur para el desarrollo de la zona urbana del mismo pueblo
Autor
Millán, Alejandro M. (levantamiento, calculo y construcción)
Colaborador(es)
Martínez, M. (dibujo y calca)
Fecha de creación
1934?
Tipo de elemento
Descripción física
Soporte del recurso original: papel
Técnica del recurso original: impreso
Escala gráfica: 1: 5 000
Tipología: 1 hoja
Descripción
El H. Ayuntamiento de Cajeme propuso a los agraristas del Ejido Cajeme incorporar el Fundo Legal de Plano Oriente a la zona urbana. Por dicha razón, adquirió en febrero la propiedad de dos solares de la Compañía Agrícola Náinari L. C. y Compañía Fraccionadora C. L., que en total sumaban aproximadamente 149 hectáreas para realizar la permuta; el terreno se encontraba localizado en el límite este del ejido. La propuesta fue aceptada por los ejidatarios, evaluada por la Comisión Agraria Mixta que realizó en agosto del mismo año un estudio y trazó el respectivo plano. El fallo presidencial sobre la expropiación se expidió el 15 de octubre de este año.
Formato
Imagen fija / jpg
Cobertura espacial
Cajeme , Ciudad Obregón
Cobertura temporal
Procedencia
Archivo Privado Carlos García Gómez
Idioma
spa
Fecha de ingreso
2022-10-31
Identificador
RS-M-ACGG-223
Relación
Título
Plano general de Ciudad Obregón, Sonora: el fundo legal y los urbanizables 1, 2, 3, 4, 5, 6 y 7
Título
Decreto sobre expropiación de terrenos ejidales para el desarrollo del centro urbano de Ciudad Obregón, antes Cajeme, Sonora
Licencia de uso

Esta obra está bajo una licencia de Creative Commons Reconocimiento-NoComercial-CompartirIgual 4.0 Internacional.


